На Гавайи обрушился самый мощный за 30 лет ураган

На Гавайи обрушился самый мощный за 30 лет ураган
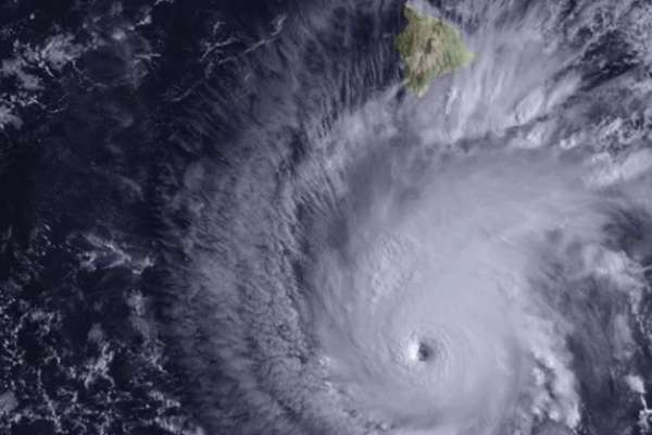
Самый мощный за последние 30 лет ураган "Лейн" обрушился на американский штат Гавайи и вызвал сильные наводнения и оползни.
Улицы и здания штата сильно повреждены в связи с проливными дождями. На некоторые острова выпало до 60 сантиметров осадков, которые размыли почву и фундамент.
Для людей, чьи жилища пострадали и более не являются пригодными для жизни, власти штата подготовили десятки временных лагерей.

Президент США Дональд Трамп заявил, что держит ситуацию на Гавайях на личном контроле.
Теги: НепогодаЧПУраганГавайиСША
	Коментарі:
comments powered by DisqusЗагрузка...
Наші опитування
Показати результати опитування
Показати всі опитування на сайті
				
				
				
				
				
				
				
				
			
		
		